Những con bão mạnh nhất trong lịch sử của thế giớiNhững con bão mạnh nhất trong lịch sử của thế giớiNhững con bão mạnh nhất trong lịch sử của thế giớiNhững con bão mạnh nhất trong lịch sử của thế giớiNhững con bão mạnh nhất trong lịch sử của thế giớiNhững con bão mạnh nhất trong lịch sử của thế giớiNhững con bão mạnh nhất trong lịch sử của thế giớiNhững con bão mạnh nhất trong lịch sử của thế giớiNhững con bão mạnh nhất trong lịch sử của thế giớiNhững con bão mạnh nhất trong lịch sử của thế giới

Những con bão mạnh nhất trong lịch sử của thế giới

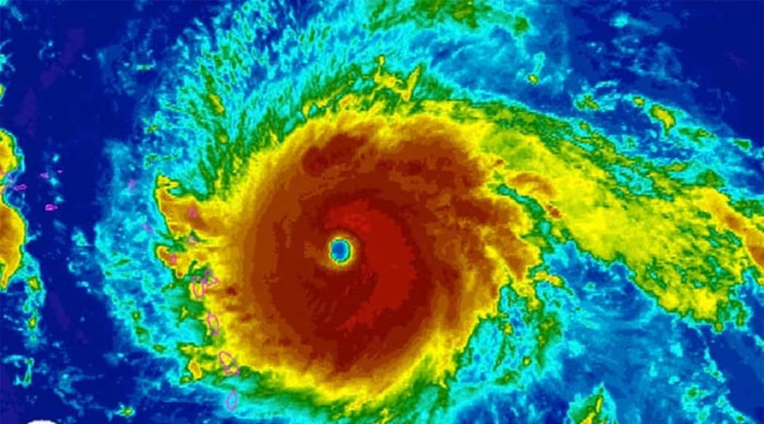
ANTD.VN - Trong lịch sử thế giới đã từng chứng kiến không ít những cơn bão có sức tàn phá vô cùng khủng khiếp, gây thiệt hại nghiêm trọng về người và của cho các quốc gia trên thế giới...